Why Ant Infestations Keep Returning Without Professional Treatment

Understanding why ant infestations keep returning without professional treatment highlights the importance of local contractors who can identify hidden nests and provide lasting control solutions.

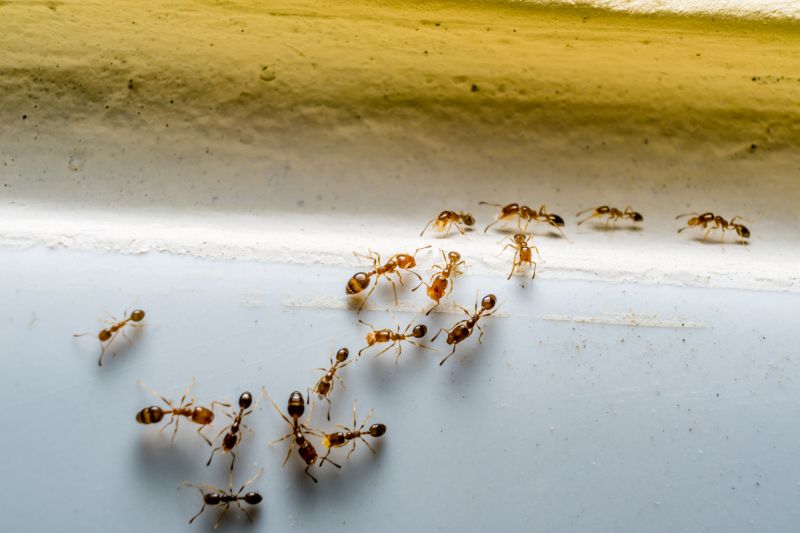
Understanding why ant infestations keep returning without professional treatment can be frustrating for property owners. Many times, ants are persistent because they find hidden entry points, establish extensive colonies underground, or discover food sources that attract them back repeatedly. Homeowners and business owners in the area often explore this topic to identify simple steps they can take to reduce ant activity and prevent future invasions. By learning about these common reasons, they can better recognize why DIY efforts might fall short and when it’s time to seek help from local contractors experienced in ant control.

Local service providers who specialize in ant infestation control have the expertise to address these underlying issues effectively. They can identify and seal entry points, locate hidden colonies, and implement targeted treatments that disrupt the ants’ ability to return. Property owners interested in long-term solutions often find that working with local pros is a practical way to ensure the problem is managed thoroughly. Keep reading to discover more about the common reasons behind recurring ant issues and how trusted local contractors can help maintain a pest-free environment.

Get Quotes for Ant Infestation Control

  • Ant infestation prevention - homeowners noticing recurring ant problems may need professional inspection and treatment to address underlying entry points and nesting sites.
  • Ant barrier installation - properties experiencing continuous ant activity despite DIY efforts can benefit from barrier services that target hidden pathways and attractants.
  • Nest removal and exclusion - when ants keep returning, local contractors can identify and eliminate nests deep within walls or underground to prevent re-infestation.
  • Sanitation and habitat modification - persistent ant issues often require pros to modify the environment, removing attractants and sealing entry points to reduce future invasions.
  • Integrated pest management - ongoing ant problems may be best addressed with comprehensive strategies that combine treatment, exclusion, and habitat control from experienced service providers.
Why Ant Infestations Keep Returning Without Professional Treatment
Why Ant Infestations Keep Returning Without Professional Treatment
Why Ant Infestations Keep Returning Without Professional Treatment

When people search for why ant infestations keep returning without professional treatment, they are often trying to understand the persistent nature of these pests and why DIY efforts may not provide lasting relief. Ant problems can seem to vanish temporarily after cleaning or using store-bought solutions, only to reappear soon after. This pattern can be frustrating, leading homeowners to wonder what underlying issues might be causing the ants to come back repeatedly. The focus is usually on understanding the root causes, such as hidden nests or ongoing food sources, that prevent simple treatments from being effective long-term.

This topic is closely related to specific problems like ongoing ant trails, repeated sightings inside the home, or infestations that seem to reemerge despite initial attempts to eliminate them. Many plans for pest control involve not just removing visible ants but also addressing the conditions that attract them. Homeowners often seek ways to prevent future invasions by eliminating entry points, removing attractants, and disrupting ant colonies. Local contractors who specialize in ant control can provide targeted solutions that go beyond surface treatments, helping to break the cycle of recurring infestations and ensuring a more permanent resolution.

The types of properties most commonly affected by persistent ant problems include single-family homes, especially those with accessible entry points around doors, windows, and foundation cracks. Residential properties with gardens, mulch beds, or wood structures tend to be more vulnerable, as these environments can harbor ant nests or provide easy access to food and water sources. Apartments or multi-unit buildings can also experience ongoing issues if neighboring units are infested or if common areas are not properly treated. Recognizing these property types helps homeowners understand where the problem may originate and how local service providers can develop effective, property-specific strategies.

Understanding why ant infestations keep returning without professional treatment highlights the importance of addressing the entire problem, not just visible ants. Local contractors experienced in ant control can assess the property thoroughly, identify hidden nests, and implement integrated pest management approaches. These professionals can help eliminate the root causes of recurring infestations, making it less likely for ants to return. For homeowners facing ongoing ant issues, connecting with local pros ensures that treatment plans are tailored to their property’s specific needs, providing a more lasting solution to a persistent problem.

Pest Inspection Services - Professionals skilled in identifying hidden ant colonies and entry points, which is essential for understanding why ant infestations keep returning without professional treatment.

Home Sealing Projects - Local contractors can help seal cracks and gaps that allow ants to re-enter, addressing common reasons why ant problems persist after initial efforts.

Moisture Control Services - Experts in managing moisture issues that attract ants, such as leaks and damp areas, which can contribute to recurring infestations.

Sanitation and Clean-Up Projects - Service providers who improve sanitation around the home to eliminate food sources that attract ants, reducing the likelihood of return infestations.

Barrier Treatment Applications - Local pros who apply targeted treatments to create physical barriers, helping prevent ants from re-establishing colonies inside or around the property.

Structural Repair Projects - Contractors capable of fixing structural vulnerabilities that serve as entry points for ants, addressing one of the root causes of persistent infestations.

Why Ant Infestations Keep Returning Without Professional Treatment

When evaluating local contractors for ant infestation control, it is important to consider their experience with similar projects. Homeowners should seek service providers who have a proven track record in handling persistent ant problems and understand the common reasons why ant infestations keep returning without professional treatment. Contractors with relevant experience can often identify underlying issues, such as hidden nests or entry points, that might be overlooked by less experienced providers. This familiarity can lead to more effective solutions that address the root causes of recurring infestations rather than just treating the surface symptoms.

Clear written expectations are essential when comparing local pros for ant control services. Homeowners should look for providers who can outline the scope of work, the methods they plan to use, and what results to expect. Having detailed information helps prevent misunderstandings and ensures that both parties are aligned on the process. It also allows homeowners to assess whether the proposed approach considers factors like ongoing ant activity or previous treatment attempts. Well-defined expectations contribute to a smoother experience and help ensure that the chosen service provider is transparent about their approach.

Reputable references and strong communication are key indicators of a reliable service provider. Homeowners are encouraged to ask for references or reviews from previous clients who faced similar issues. This feedback can provide insights into the contractor’s effectiveness and professionalism. Good communication throughout the process-such as prompt responses and clear explanations-also plays a vital role in managing expectations and addressing concerns. Service providers who prioritize open dialogue and have positive references are more likely to deliver quality ant infestation control services that can effectively break the cycle of recurring infestations.

Get a Quote for Ant Infestation Control

Property owners often search for why ant infestations keep returning without professional treatment when they are planning practical projects around their homes and businesses. Local pros provide Ant Infestation Control services for everyday jobs and straightforward project options.

Why Ant Infestations Keep Returning Without Professional Treatment
Why Ant Infestations Keep Returning Without Professional Treatment

Ant infestations often keep returning without professional treatment because ants are persistent and highly adaptable pests. They tend to find multiple entry points around a property, such as cracks in walls, gaps around windows, or openings in the foundation, making it easy for them to re-invade even after initial attempts at control. Additionally, ant colonies can be extensive, with multiple queens and large nests located underground or hidden within walls, which can be difficult for property owners to identify and eliminate on their own.

Many property owners in the area seek out ant infestation control services because DIY methods may not address the root causes of recurring problems. Without professional assistance, residual colonies and hidden nests can remain intact, allowing ants to reappear over time. Local contractors who specialize in ant control use targeted strategies to locate and treat colonies effectively, helping to break the cycle of re-infestation and providing a more lasting solution for homes and businesses.

Get a Quote for Ant Infestation Control

Why do ant infestations keep returning even after cleaning? Ant infestations can persist because they often have hidden colonies or nesting sites that are difficult to eliminate through cleaning alone. Local contractors with experience in ant control can identify and treat these hidden sources to prevent recurrence.

How does ant behavior contribute to recurring infestations? Ants tend to leave scent trails for others to follow, which can lead to re-infestation if the colony isn't fully eradicated. Professional ant control services can disrupt these trails and eliminate the entire colony to stop the cycle.

Can structural issues cause ant infestations to keep coming back? Yes, cracks, gaps, and other entry points in a building's structure can allow ants to re-enter even after treatment. Local service providers can identify and seal these entry points to reduce future invasions.

Why is it important to address the root cause of ant infestations? Addressing only the visible ants does not remove the colony or nesting sites. Professional ant control experts target the source, which helps prevent the infestation from returning repeatedly.

What role do outdoor conditions play in persistent ant problems? Outdoor factors like mulch, debris, or nearby food sources can attract ants back to the property. Local contractors can advise on outdoor treatments and modifications to reduce the likelihood of re-infestation.

Identify nesting sites - property owners can work with local contractors to locate and remove ant nests that serve as ongoing sources of infestation.

Seal entry points - sealing cracks and gaps around windows, doors, and foundations helps prevent ants from re-entering the property.

Remove attractants - eliminating food sources and debris around the home reduces the likelihood of ants returning repeatedly.

Implement ongoing monitoring - setting up regular inspections with local pros ensures early detection and treatment of new ant activity.

Why Ant Infestations Keep Returning Without Professional Treatment

If you are thinking about why ant infestations keep returning without professional treatment for a property, this guide is meant to help you understand this topic, the typical project types, and how different options might fit your plans.

When you are ready, you can use the quote form on this page to share a few details about your project. From there, local pros can review the basics and follow up with options that match what you have in mind.

Get a Quote for Ant Infestation Control

Ant Infestation Control Quotes